zurück Home Hunde Altdeutscher Hütehund, Harzer Fuchs
Hütehund
allgemeines BRD 2016 8.600.000
Abstammung Wolf (Canis lupus), einschließlich Haushund und Dingo 78 Chromosomen
Hunderassen Beliebteste Hunderassen 2018 Sachsen Anhalt
  1. Labrador Retriever
  2. deutscher Schäferhund
  3. Jack Russell Terrier
  4. Yorkshire Terrier
  5. französische Bulldogge
  6. Chihuahua
  7. Dackel
  8. golden Retriever
  9. Border Collie
  10. Beagle
Maremmano Abruzzese: 2 Tiere können einen Bären abwehren. Weißes zotteliges Fell
weißer Pyrenäenberghund: Herdenschutzhund
Eurasier: Kreuzung aus Chow Chow, Wolfsspitz, Samojeden
Westerwälder Kuhhund: hütet Rinder
Bayerischer Gebirgsschweißhund: Polizeispürhund
Huskys: strahlend blaue Augen
Kampfhunde
  • American Staffordshire Terrier
  • American Pitbull Terrier
  • Staffordshire Bullterrier
  • Bullterrier
  • XL-Bully: Pitbull-Terrier-Mischlinge, zahlreiche tötliche Angriffe, 2023 Verbot in GB geplant
  • Kaukasischen Owtscharka: in den falschen Händen gefährlich
Ab 1.3.16 ist die Zucht in SA verboten.
Berner Sennenhund Lebenserwartung 8,25 Jahre Häufigste Todesursachen: 61 % Tumoren, 10 % Niereninsuffizienz (3) Berner Sennenhund, Rüde, 3 Jahre alt, 64 kg
Berner Sennenhund
Assistenzhunde Speziell ausgebildete Hunde, die Aufgaben erlernen, um ihrem Menschen mit einer Behinderung im Alltag zu helfen.
unverträgliche Nahrung Weintrauben, Rosinen: klinische Symptome Apathie, Erbrechen, Durchfall, akutes Nierenversagen (Tubulusnekrosen) Xylit: Hypoglykämie, Lebernekrosen
Schokolade: Theobromin. 20 mg/kg Körpergewicht Agitiertheit, 40 mg/kg Körpergewicht kardiotoxisch, ZNS-Schäden
Infektion Impfung, Leishmaniose, Zwingerhusten, Hundefloh, Würmer
SLO symmetrische lupoide Onychdystrophie Angeborene Erkrankung der Krallen
Cherry Eye prolabierte Nickhautdrüse knallroten Schwellung am nasalen Augenwinkel
Behandlung:
  • antibiotische Augentropfen
  • manuelle Reposition der Drüse
  • operative Reposition und Fixation
Medikamente
Rimadyl®, Carprodyl® Carprotab flavor 160mg® enthält Carprofen 20/50/100 mg
(±)-Carprofen Enantiomers Structural Formulae
Bildquelle: Jü / Public domain über Wikimedia commons
Schmerzhemmend, Antientzündlich
Dosis: 2 - 4 mg/kg/d
Prednisolon 0,25-1mg/kg
DiaDog'nCat Kautabletten z.B. bei Diarrhoe
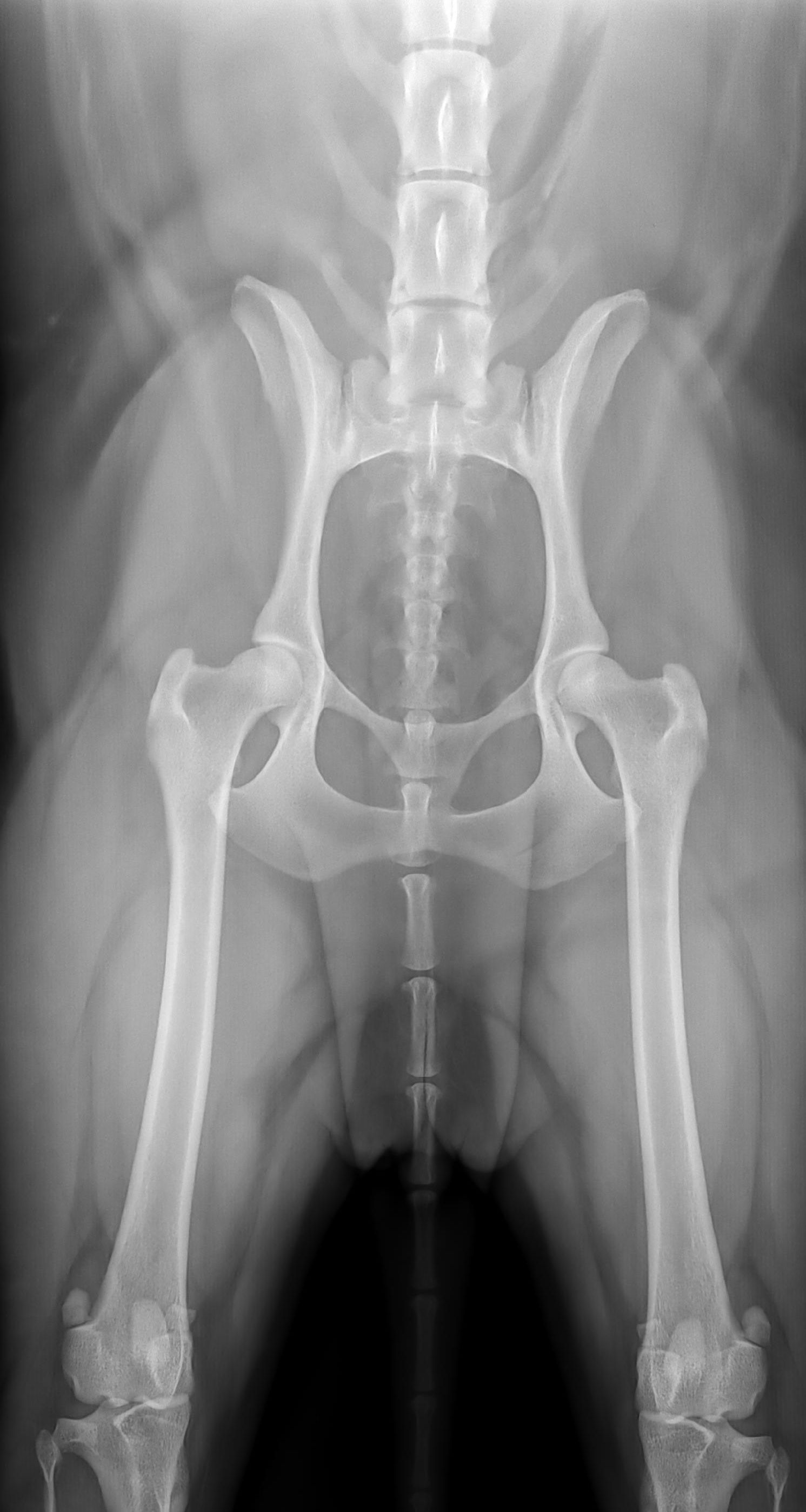
Röntgen Becken einer dreijährigen gesunden Golden-Doodle-Hündin
Becken
Rechte Vorderpfote
 Pfote
Quellen 1.) Zentralverband Zoologischer Fachbetriebe

2.) PET PHYSIO: Versand von Hundeartikeln, Liegeplätze, Bücher, Futterzusätze, Hundebandagen, Hundefutter, Hundegehhilfen, Hundemäntel, Hundeschuhe

3.) Der Praktische Tierarzt

4.) KYNOS VERLAG Hundebuchshop

Teil von

Haustiere Nutztiere Nutzung von Naturprodukten

Impressum                             Zuletzt geändert am 29.10.2024 7:51